Vermessung und Flurneuordnung
Aufgabenbereiche
Das Amt ist zuständig für die amtliche Vermessung, die Führung des Liegenschaftskatasters, die Durchführung von Flurneuordnungen sowie den Betrieb des Geoinformationssystems im Landkreis Böblingen. Als Ansprechpartner zu all diesen Themen stehen wir Ihnen gerne zur Verfügung.
Als untere Vermessungsbehörde ist das Amt für Vermessung und Flurneuordnung zuständig für die Städte und Gemeinden im Landkreis Böblingen, außer der Stadt Sindelfingen mit ihren Teilorten. Als untere Flurbereinigungsbehörde ist das Amt für Vermessung und Flurneuordnung zuständig für alle Städte und Gemeinden im Landkreis Böblingen.
Liegenschaftskataster
- Führung des Liegenschaftskatasters
- Serviceleistungen (Auskunft und Einsichtnahme in das Liegenschaftskataster, analoge Auszüge und digitale Daten AVF-Service@lrabb.de)
Sachgebietsleiter
Thomas Wolf
Tel: 07031 / 663 - 5019
E-Mail: t.wolf@lrabb.de
Vermessung
- Liegenschaftsvermessungen: Katastervermessungen und Grenzfeststellungen
- Baulandumlegung
- Ingenieurvermessung: Bestandsplan sowie Lageplan zum Bauantrag
Sachgebietsleiterin
Stefanie Sprenger
zur Zeit vertreten durch
Jürgen Hermann
Tel: 07031 / 663 - 5034
E-Mail: j.hermann@lrabb.de
Flurneuordnung
Sachgebietsleiterin
Claudia Kallning
Tel: 07031 /663 - 5070
E-Mail: c.kallning@lrabb.de
Geoinformationssystem
Stabsstellenleiterin
Katrin Ripberger
E-Mail:GISKompetenzzentrum@lrabb.de
Termine und Besuche
Für die Vereinbarung von persönlichen Terminen im Amt für Vermessung und Flurneuordnung nehmen Sie bitte telefonisch oder per E-Mail Kontakt mit uns auf. Wenden Sie sich
- für Anfragen allgemeiner Art an vermessung-flurneuordnung@lrabb.de,
Tel. 07031 663-5000 - für Auskünfte aus dem Liegenschaftskataster an avf-service@lrabb.de,
Tel. 07031 663-5050
oder an die jeweiligen mit Ihnen in Kontakt stehenden Ansprechpartner.
Aktuelles
Aktionswoche Geodäsie 2025
Aktionstag Geodäsie auf dem Flugfeld Böblingen: Junge Entdecker erleben Vermessung hautnah
Am 24. Juli fand auf dem Flugfeld in Böblingen der diesjährige Aktionstag Geodäsie statt – ein spannender Tag voller Einblicke in die Welt der Vermessung.
Wie misst man ein Gebäude millimetergenau? Was ist ein Tachymeter? Und wozu braucht man eigentlich Geodaten? Diesen und vielen weiteren Fragen gingen rund 75 Schülerinnen und Schüler der Jerg-Ratgeb-Realschule aus Herrenberg beim Aktionstag auf dem Flugfeld in Böblingen nach.
Der praxisorientierte Erlebnistag bot den drei teilnehmenden Klassen spannende Einblicke in das vielseitige Berufsfeld der Geodäsie – der Wissenschaft von der Vermessung und Darstellung der Erdoberfläche. Im Mittelpunkt standen dabei Mitmachstationen, an denen die Jugendlichen moderne Vermessungs-technik nicht nur kennenlernen, sondern selbst ausprobieren konnten.
An verschiedenen Stationen konnten die Teilnehmenden moderne Messinstrumente wie Tachymeter oder GNSS-Geräte ausprobieren, Entfernungen messen, Punkte abstecken und – begleitet von erfahrenen Fachleuten, die geduldig Fragen beantworteten und Einblicke in ihre tägliche Arbeit gaben.
Besonderen Dank gilt der Firma intermetric GmbH und der Stadt Sindelfingen, die den Aktionstag mit je einer Mitmachstation unterstützten.
Der Aktionstag war nicht nur lehrreich, sondern auch ein motivierender Impuls für die Schülerinnen und Schüler, sich mit naturwissenschaftlich-technischen Berufen auseinanderzusetzen. Vielleicht wird ja die eine oder der andere durch diesen Tag den Weg in die Geodäsie einschlagen!
Streuobstrundgang mit Frau Staatssekretärin Sabine Kurtz MdL und Herrn Landrat Roland Bernhard im Flurbereinigungsverfahren Herrenberg-Gültstein/Mönchberg (Schönbuchhänge)
Am 4. Juli 2025 lud der Bauernverband Mönchberg zu einem Rundgang durch das Streuobstgebiet der Herrenberger Schönbuchhänge ein. Neben Frau Staatssekretärin Sabine Kurtz MdL und Herrn Landrat Roland Bernhard nahmen zahlreiche Vertreterinnen und Vertreter aus Verwaltung und Landwirtschaft an der Veranstaltung teil.
Im Mittelpunkt stand das bereits 2019 angeordnete Flurbereinigungsverfahren Herrenberg-Gültstein/Mönchberg (Schönbuchhänge).
Während des Rundgangs berichteten die Bewirtschafter von den Herausforderungen und nutzten die Gelegenheit, mit den politischen Vertretern in den Dialog zu treten. Die Schönbuchhänge sind seit Jahren von Nutzungsaufgaben bedroht. Viele Flurstücke sind schwer zugänglich, vorhandene Wege zu schmal oder rechtlich nicht gesichert. Neben der fehlenden Rentabilität im Obstbau und bestehenden Nutzungskonflikten zwischen landwirtschaftlichen und ökologischen Interessen, wird der Klimawandel zur wachsenden Herausforderung.
Frau Kallning, leitende Ingenieurin des Flurbereinigungsverfahrens, zeigte auf, wie Flurbereinigung über die Verfahrensgrenzen hinaus zum Erhalt der Streuobstkulturlandschaft beitragen kann. Nicht allein Wege zur Erschließung, auch Flächentausch und Grunderwerb können die Bewirtschaftung erleichtern, Nutzungskonflikte lösen und die Schafbeweidung in Steillagen etablieren. Die Nachpflanzung hitze- und spätfrostresistenter Obstsorten trägt zur Entwicklung einer widerstandsfähigeren Kulturlandschaft angesichts des Klimawandels bei. Die Einrichtung von Schnittgutsammelplätzen oder die Anlage von Wasserentnahmestellen kann den Streuobstanbau praxisnah unterstützen. Förderprogramme sowie Maßnahmen der Landschaftspflege und Tourismusinfrastruktur, wie etwa Lehrpfade, lassen sich ebenfalls in das Verfahren integrieren. Mit diesem sonst so nicht möglichen umfassenden und ganzheitlichem Ansatz wird ein wichtiger Beitrag zum Erhalt der Streuobstkulturlandschaft in Baden-Württemberg geleistet.
Die geschätzten Ausführungskosten des Verfahrens liegen bei rund 2,1 Mio. €. Bund und Land fördern die Umsetzung mit einem Zuschuss in Höhe von 69 %.
Feierliche Einweihung der neu gebauten Wege im Flurbereinigungsverfahren Hildrizhausen/Altdorf
Nach einer fünfmonatigen Bauzeit konnten die Bauarbeiten im Flurbereinigungsverfahren Hildrizhausen/Altdorf zum Abschluss gebracht werden. Im Rahmen eines Pressetermins mit Staatssekretärin Sabine Kurtz MdL und Landrat Roland Bernhard am 12. Mai 2025 wurde das neue Wegenetz eingeweiht.
„Die Maßnahmen haben sich für die beiden Kommunen gelohnt, denn sie bringen eine immense Erleichterung für die Ortslagen und den landwirtschaftlichen Verkehr, der jetzt dort nicht mehr hindurchfahren muss. Das neue Wegenetz entspricht den heutigen Anforderungen“, erklärt Landrat Bernhard. „Alles konnte dank einer hervorragenden Zusammenarbeit der beteiligten Kommunen und des Verbands der Teilnehmergemeinschaften zügig umgesetzt werden.“ Einen Dank richtete der Landrat auch an das Amt für Vermessung und Flurneuordnung, von dem die Flurbereinigung koordiniert und äußert zügig durchgeführt wird.
Die Ausführungskosten lagen bei rund 1,1 Mio. €. Das Verfahren wurde von Bund und Land mit einem Verfahrenszuschuss in Höhe von 67 % gefördert. Die Gemeinden Hildrizhausen und Altdorf übernahmen den nicht durch Zuschuss gedeckten Anteil.
Öffentliche Bekanntmachungen
Hildrizhausen
Ankündigung von Vermessungsarbeiten des Landratsamts Böblingen, Amt für Vermessung und Flurneuordnung in Hildrizhausen
Dabei werden zur Verbesserung des Liegenschaftskatasters ab dem 15.12.2025 festgelegte Vermessungs- und Grenzzeichen aufgesucht und vermessen. Das Liegenschaftskataster ist das amtliche Verzeichnis der Flurstücke und Gebäude in Baden-Württemberg.
Welche Flurstücke tatsächlich betroffen sind, wird sich erst bei der Vermessung vor Ort zeigen. Betroffen sind die Flurstücke aus dem abgebildeten Kartenausschnitt welche innerhalb des Begrenzungsbandes liegen.
Diese Arbeiten sind gebührenfrei.
Bei den Vermessungsarbeiten wird auch der Datenbestand im Liegenschaftskataster vor Ort überprüft und bei Veränderungen aktualisiert. Bei neuen und veränderten Gebäuden ist dies gebührenpflichtig.
Rechtsgrundlage für die Vermessungsarbeiten ist das Vermessungsgesetz für Baden-Württemberg (VermG).
Die Mitarbeiter des Landratsamts Böblingen, Amt für Vermessung und Flurneuordnung dürfen die Flurstücke zur Durchführung von Vermessungsarbeiten betreten (§ 17 VermG).
Sollten Sie noch Fragen haben, dann wenden Sie sich bitte an den Sachbearbeiter Devin Stark vom Amt für Vermessung und Flurneuordnung, Parkstraße 2, 71034 Böblingen, Tel. 07031/663-5012.
Landratsamt Böblingen, den 03.12.2025
Amt für Vermessung und Flurneuordnung
gez. Hermann
Weil der Stadt / Renningen
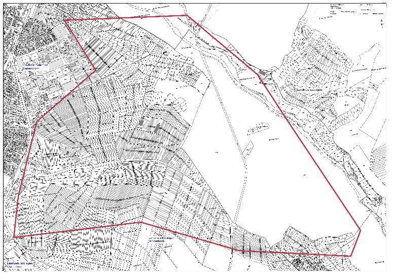
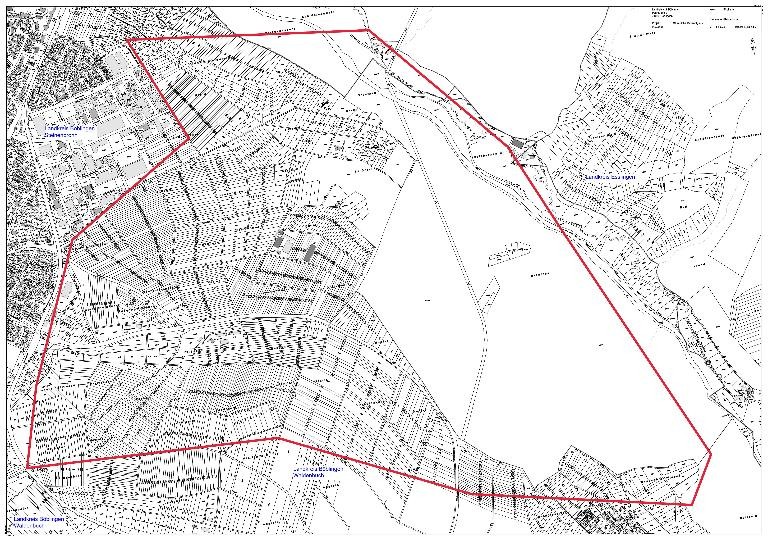
Ankündigung von Drohnenflügen des Amts für Vermessung und Flurneuordnung
Mitarbeiter des Amts für Vermessung und Flurneuordnung werden Drohnenflüge im gekennzeichneten Kartenbereich durchführen (vgl. Karte). Die Befliegung erfolgt an drei Tagen in den Kalenderwochen 43 bis 45. Die Auswahl der Tage sowie die Flugdauer richten sich nach der Wetterlage.
Aus den gewonnenen Daten soll ein digitales Geländemodell sowie ein Orthophoto erstellt werden und als Planungsgrundlage für das Amt für Vermessung und Flurneuordnung herangezogen werden.
Rechtsgrundlage für die Vermessungsarbeiten ist das Flurbereinigungsgesetz (FlurbG).
Die Mitarbeiter vom Amt für Vermessung und Flurneuordnung dürfen die Flurstücke zur Vorbereitung und Durchführung der Vermessung betreten und die nach ihrem Ermessen erforderlichen Arbeiten auf ihnen vornehmen (§ 35 FlurbG).
Sollten Sie noch Fragen haben, dann wenden Sie sich bitte an den Sachbearbeiter Devin Stark vom Amt für Vermessung und Flurneuordnung, Parkstraße 2, 71034 Böblingen, Tel. 07031/663-5012.
Landratsamt Böblingen, den 13.10.2025
Amt für Vermessung und Flurneuordnung
gez. Hermann
Breitenstein
Ankündigung von Vermessungsarbeiten des Landratsamts Böblingen, Amt für Vermessung und Flurneuordnung in den Gewannen Breitensteiner Tal, Buch, Diebshalde, Hagenwiesen, Lange Buchen und Weiherhalde in Breitenstein
Dabei werden zur Verbesserung des Liegenschaftskatasters ab Oktober 2025 festgelegte Vermessungs- und Grenzzeichen aufgesucht und vermessen.
Das Liegenschaftskataster ist das amtliche Verzeichnis der Flurstücke und Gebäude in Baden-Württemberg.
Welche Flurstücke tatsächlich betroffen sind, wird sich erst bei der Vermessung vor Ort zeigen. Betroffen sind die Flurstücke aus dem abgebildeten Kartenausschnitt welche innerhalb des Begrenzungsbandes liegen.
Diese Arbeiten sind gebührenfrei.
Bei den Vermessungsarbeiten wird auch der Datenbestand im Liegenschaftskataster vor Ort überprüft und bei Veränderungen aktualisiert. Bei neuen und veränderten Gebäuden ist dies gebührenpflichtig.
Rechtsgrundlage für die Vermessungsarbeiten ist das Vermessungsgesetz für Baden-Württemberg (VermG).
Die Mitarbeiter des Landratsamts Böblingen, Amt für Vermessung und Flurneuordnung dürfen die Flurstücke zur Durchführung von Vermessungsarbeiten betreten (§ 17 VermG).
Sollten Sie noch Fragen haben, dann wenden Sie sich bitte an den Sachbearbeiter Mark Schmid vom Amt für Vermessung und Flurneuordnung, Parkstraße 2, 71034 Böblingen, Tel. 07031/663-5078.
Landratsamt Böblingen, den 16.09.2025
Amt für Vermessung und Flurneuordnung
gez. Hermann
Stadt Herrenberg, Gemarkung Kuppingen
Ankündigung von Vermessungsarbeiten des Landratsamts Böblingen, Amt für Vermessung und Flurneuordnung auf der Gemarkung Kuppingen.
Das Landratsamt Böblingen, Amt für Vermessung und Flurneuordnung führt ab dem 01.Februar 2025 Vermessungsarbeiten zur Grenzfeststellung durch.
Hierzu müssen die Mitarbeiter die Flurstücke betreten und Vermessungsarbeiten durchführen
Welche Flurstücke tatsächlich betreten werden, wird sich erst bei der Vermessung vor Ort zeigen. Betroffen sind die Flurstücke aus dem abgebildeten Kartenausschnitt welche innerhalb des Begrenzungsbandes liegen.
Die Kosten für die Wiederherstellung der beantragten Grenzzeichen werden vom Antragsteller getragen.
Rechtsgrundlage für die Vermessungsarbeiten ist das Vermessungsgesetz für Baden-Württemberg (VermG) vom 01.07.2004 (GBl. S. 469,509) in der geltenden Fassung. Die Mitarbeiter des Landratsamts Böblingen, Amt für Vermessung und Flurneuordnung dürfen die Flurstücke zur Durchführung von Vermessungsarbeiten betreten (§ 17 VermG).
Sollten Sie noch Fragen haben, dann wenden Sie sich bitte an den Bereichsleiter Klaus Erb vom Amt für Vermessung und Flurneuordnung, Parkstraße 2, 71034 Böblingen, Tel. 07031/663-5024 oder an die Mitarbeiter des Amts für Vermessung und Flurneuordnung im Außendienst. Diese sind gerne bereit, Ihnen weitere Auskünfte zu erteilen.
Landratsamt Böblingen, den 29.01.2025Amt für Vermessung und Flurneuordnunggez. Hermann
Nufringen
Ankündigung von Vermessungsarbeiten des Landratsamts Böblingen, Amt für Vermessung und Flurneuordnung auf der Gemarkung Nufringen.
Das Landratsamt Böblingen, Amt für Vermessung und Flurneuordnung führt ab dem 01. Okt. 2024 Vermessungsarbeiten für das Liegenschaftskataster durch. Dabei werden neue, veränderte oder noch nicht im Liegenschaftskataster geführte Gebäude aufgenommen.
Hierzu müssen die Mitarbeiter die Flurstücke betreten und Vermessungsarbeiten durchführen.
Welche Flurstücke tatsächlich betreten werden, wird sich erst bei der Vermessung vor Ort zeigen. Betroffen sind die Flurstücke aus dem abgebildeten Kartenausschnitt welche innerhalb des Begrenzungsbandes liegen.
Die Kosten für die Gebäudeaufnahme der Gebäude gehen zu Lasten der jeweiligen Grundstückseigentümer.
Rechtsgrundlage für die Vermessungsarbeiten ist das Vermessungsgesetz für Baden-Württemberg (VermG) vom 01.07.2004 (GBl. S. 469,509) in der geltenden Fassung. Die Mitarbeiter des Landratsamts Böblingen, Amt für Vermessung und Flurneuordnung dürfen die Flurstücke zur Durchführung von Vermessungsarbeiten betreten (§ 17 VermG).
Sollten Sie noch Fragen haben, dann wenden Sie sich bitte an den Bereichsleiter Klaus Erb vom Amt für Vermessung und Flurneuordnung, Parkstraße 2, 71034 Böblingen, Tel. 07031/663-5024 oder an die Mitarbeiter des Amts für Vermessung und Flurneuordnung im Außendienst. Diese sind gerne bereit, Ihnen weitere Auskünfte zu erteilen.
Landratsamt Böblingen, den 19.09.2024Amt für Vermessung und Flurneuordnunggez. Sprenger
Gemeinde Steinenbronn / Stadt Waldenbuch
Ankündigung von Vermessungsarbeiten des Landratsamts Böblingen, Amt für Vermessung und Flurneuordnung in den Gemarkungen Steinenbronn und Waldenbuch.
Dabei werden zur Verbesserung des Liegenschaftskatasters ab September 2025 festgelegte Vermessungs- und Grenzzeichen aufgesucht und vermessen.
Das Liegenschaftskataster ist das amtliche Verzeichnis der Flurstücke und Gebäude in Baden-Württemberg.
Welche Flurstücke tatsächlich betreten werden, wird sich erst bei der Vermessung vor Ort zeigen. Betroffen sind die Flurstücke aus dem abgebildeten Kartenausschnitt welche innerhalb des Begrenzungsbandes liegen.
Diese Arbeiten sind gebührenfrei.Bei den Vermessungsarbeiten wird auch der Datenbestand im Liegenschaftskataster vor Ort überprüft und bei Veränderungen aktualisiert. Bei neuen und veränderten Gebäuden ist dies gebührenpflichtig.
Rechtsgrundlage für die Vermessungsarbeiten ist das Vermessungsgesetz für Baden-Württemberg (VermG) vom 01.07.2004 (GBl. S. 469,509) in der geltenden Fassung. Die Mitarbeiter des Landratsamts Böblingen, Amt für Vermessung und Flurneuordnung dürfen die Flurstücke zur Durchführung von Vermessungsarbeiten betreten (§ 17 VermG).
Sollten Sie noch Fragen haben, dann wenden Sie sich bitte an die Sachbearbeiterin Anna-Lena Bäurle vom Amt für Vermessung und Flurneuordnung, Parkstraße 2, 71034 Böblingen, Tel. 07031/663-5026.
Landratsamt Böblingen, den 13.08.2025
Amt für Vermessung und Flurneuordnung
gez. Hermann
Informationen
Informationen, Übersichtskarten, Formulare
Links
- Ministerium für Ländlichen Raum und Verbraucherschutz Baden-Württemberg
(Oberste Flurbereinigungsbehörde) - Ministerium für Landesentwicklung und Wohnen Baden-Württemberg
(Oberste Vermessungsbehörde) - Landesamt für Geoinformation und Landentwicklung Baden-Württemberg (LGL)
- Geodatenshop-Shop des LGL: Liegenschaftskarten, Flurstücksnachweise, SHAPE-, DXF-, NAS-Daten
- Arbeitsgemeinschaft der Vermessungsverwaltungen der Länder der Bundesrepublik Deutschland (AdV)
- Bundesamt für Kartographie und Geodäsie
- Deutscher Verein für Vermessungswesen e.V. (DVW) Gesellschaft für Geodäsie, Geoinformation und Landmanagement
Ausbildung
- Informationen zum Einsatz des Vermessungstechnikers (PDF, 14,658 MiB)
- Ausbildungswege und -möglichkeiten in der Vermessung
- Ausbildung im Landratsamt Böblingen - Beruf des Vermessungstechnikers
sowie mittlerer vermessungstechnischer Verwaltungsdienst und gehobener vermessungtechnischer Verwaltungsdienst - Berufsinformation zum Vermessungstechniker bei der Bundesagentur für Arbeit
- Arbeitsplatz Erde Geodäsie im Fokus! (Hier soll der Berufsnachwuchs angesprochen werden. Die Webseite wendet sich an Schüler und Schülerinnen insbesondere der Klassen 12 und 13)









